In Togo, HeidelbergCement is constructing a new 250 million US$ clinker plant with an annual capacity of 1.5 million t in the town of Tabligbo, some...
Thorwesten Vent in Beckum/Germany has been investing for years into the development of advanced explosion protection measures. This includes research...
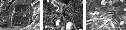
Reliable refractory solutions play a vital role in increasing efficiency in the cement manufacturing process. However, a lapse in performance of the...
The maxim “health is wealth” is applicable to the cement kiln, too. As long as the shell is rotating, the level of profitability is high. Every time...